Новости Обсуждения новостей » | Последние новости
Все новости за месяц | |||||||||||||||||||||||||||||||||||||||||||||
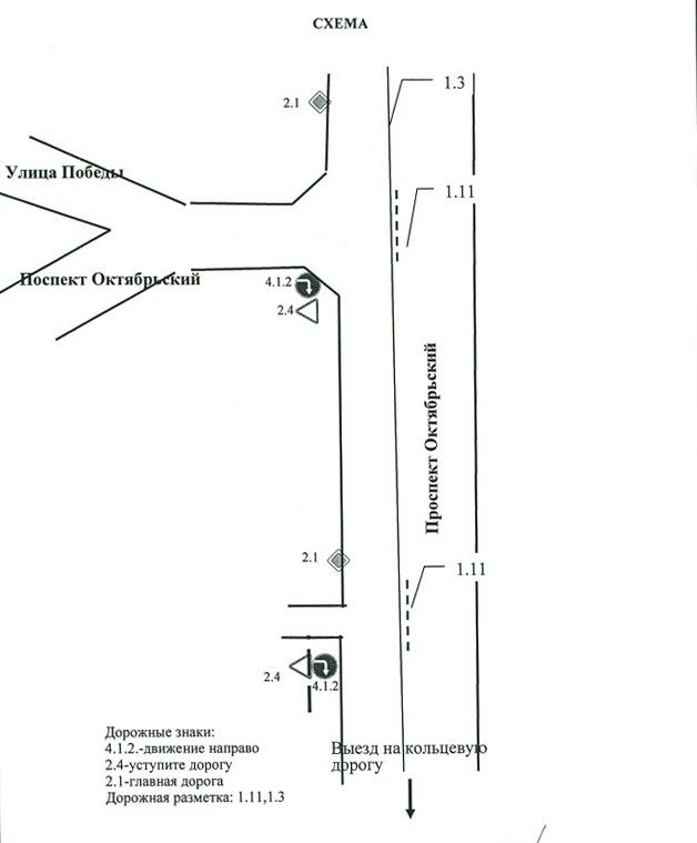
Направо по кольцу | ||||||||||||||||||||||||||||||||||||||||||||||
| "Ничего критичного" Мост Захарова приведут в порядок по гарантии 04 мая 2018 - комментарии: 29 |
| На пятнадцать минут быстрее Открыточный вид на монастырь могут улучшить прожекторами 22 января 2018 - комментарии: 24 |
| Вниз по Давиденко Депутат и автоинспектор прокомментировали запрет на поворот 19 января 2018 - комментарии: 3 |
Все новости по теме Мост через Сатис с Давиденко
Комментарии
Это была идея Димитрова, которую он несколько раз озвучивал. С тех пор больше про нее ничего не слышно. В проекте нынешней реконструкции Харитона ничего подобного нет. Ответить Правка |
![]() | ДенисR # 30 ноя’17, 11:00 Четыре катающихся по кругу смогут блокировать все въезды на кольцо?) Ответить Правка |
![]() | Владимир Викторов # 30 ноя’17, 13:14 Полный запрет на остановку на отрезке Октябрьского у "Гвоздики" — это понятно, для двух полос в каждую сторону. Но останавливающийся автобус будет блокировать одну из них, а карманы там уже не воткнешь. Ответить Правка |
И что? Вы-с бывали в Нижнем Новгороде? Если с Бекетова повернуть налево на Гагарина, то подобных остановок встречается несколько(без карманов). И живут люди, ездиют и бед не знают. Ответить Правка |
Я не понял? Вас устраивают худшие варианты? Или Вы все же мечтаете о лучшем? Ответить Правка |
С 9 утра до 16 в рабочие дни и в выходные (до 18 перед рабочим днём) можно бы и разрешить! Загнутся там некоторые. Да и дворы задохнут!))) Ответить Правка |
![]() | Реальность # 30 ноя’17, 13:36 И таки запретили поворот на Сахарова(тормоза)и от Сахарова до Октярьского проспекта двухсторонее движение не ввели. Ответить Правка |
С чего бы не запрещат поворот с кольца на Сахарова, если последняя — улица с односторонним движением :)) и как это не ввели двухсторонее от Сахарова до Октябрьского? Если имете в виду отрезок ул.Алексндровича, то он с двухсторонним движением. Ответить Правка |
![]() | гость13 # 30 ноя’17, 16:20 Как же это неудобно, раньше с Дзержинского сразу повернул к Гвоздике и всё. А сейчас, вместо того, чтобы сфетофор на выезде с ул.Дзержинского поставить, чинуши предлагают ехать к новому мосту и там разворачиваться. Чего уж там, давайте сразу у Маслихи или у кладбища разворот сделаем. Старый район в старый район будет через Балыково ездить. Ответить Правка |
Ну, или хотя бы проезд по Вити Коробкова с Дзержинского сделали бы двусторонним и запретили там стоять. Ответить Правка |
Пошёл ты в жопу. Если налево стоять будут все, то направо вообще не повернуть. Зажрались суки Ответить Правка |
Что "на-оборот"? Направо гораздо быстрее будут уезжать. Доехал до кольца и ехай на все стороны, куда тебе нужно. Так будет: б — быстрее б — безопаснее Ответить Правка |
Я Вас поздравляю-с ул.Дзержинского "все" поедут через двор д8 Ответить Правка |
за сквозной проезд через двор, водитель привлекается к ответственности по ч.1 ст. 12.28 КоАП, которая предусматривает штраф.( Ответить Правка |
![]() | Drudzu # 30 ноя’17, 20:43 Нужны автобусные остановки у нового моста. Ответить Правка |
Не у моста, а на кольце. Для тех, кто едет в гостиницы или клуб "Авангард". А в 100 метрах от моста будет остановка на Давиденко. Ответить Правка |
![]() | Картинки № 3 и 4. Вы (или не вы) там с номерами налажали, КМК. Какую хренотень устроили ради закрытия 200-метрового участка одной из главных городских магистралей в угоду горстке людишек! Ответить Правка |
Да ладно.. Ну построят. Ну выделят бабос на новую Д Е Т С К У Ю поликлинику!! Лет через 30-50, глядишь, опять снесут и проезд откроют. Сейчас безполезно слюной брызгать :) Ответить Правка |
Будем надеяться. Все по спирали. Ответить Правка |
Написать
Если вы хотите ответить кому-то, нажмите ссылку "Ответить" под его комментарием. Другие советы












Тольяттиак.Харитона-Октябрьский(напротив м-на Северный) хотят организовать круговое движение. Странный слух, пространства для круга в этом месте маловато. Но левый поворот на Октябрьский с Харитона был бы очень удобен да и выезд с Октябрьского на Харитона в сторону маслихи гораздо удобнее через кольцо, чем через левый поворот.